アパート 群馬県館林市 賃貸20の19 二棟一括 土地1573.99平米 満室時利回り11.43%

価格
11000万円
満室時想定利回り
11.43%
間取
1K

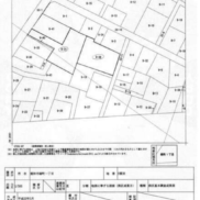
所在地 群馬県館林市北成島町
交通
東武伊勢崎線館林駅 徒歩15分

賃貸状況
20部屋中19部屋賃貸中
20部屋中 1部屋空室

※中間省略案件になります。
※現況有姿(確定測量は実施せず、契約不適合責任免責)

築年月日は2006年の4月と5月になります。

賃貸状況
建物構造 軽量鉄骨 階数 地上2階  築年月 2006/4
建物面積 684m² 間取り 1K 総戸数
駐車場   土地面積 1573.99m² 土地権利
私道負担面積 地目 宅地 都市計画区域 市街化区域
用途地域 第一種中高層住居専用 建ぺい率 60% 容積率 200%
国土法届出 推進状況 現況引き渡し
引き渡し 建築確認番号 取引形態 仲介
注意事項


関連物件

  • 群馬県館林市 賃貸8の2 土地1065.92平米 2DK×4戸、賃家×4戸 満室時利回り14.22%群馬県館林市 賃貸8の2 土地1065.92平米 2DK×4戸、賃家×4戸 満室時利回り14.22%
    2700万円 2DK
    館林市 緑町1丁目

    東武伊勢崎線館林駅
※物件掲載内容と現況に相違がある場合は現況を優先と致します。