賃貸状況
8部屋中 2部屋賃貸中
8部屋中 6部屋空室
・オーナーチェンジ
・ミドリハイツ:2/4戸賃貸中
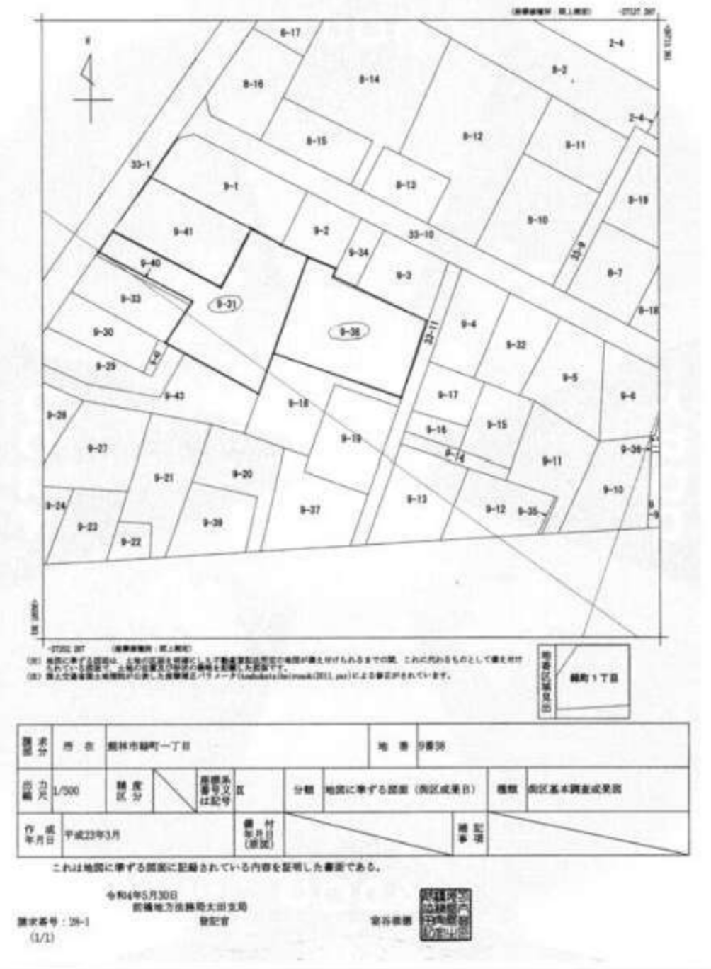
・物件東側隣地9-38借家4棟(全空室)、昭和55年新築、現況有姿、一括売買
・契約不適合責任免責
・残置物含み
・住戸の専有面積:40.15m²~45.45m²
・上下水道完備
・区画整理地内
・主要採光面:南向き
・バイク置場:有(無料)
・駐輪場:有(無料)
・設備:B・T別、トイレ、オープンキッチン、プロパンガス
| 2700万円 | 14.22% | 2DK | 
|  | ||
| 所在地 | 群馬県館林市緑町1丁目 ミドリハイツ+戸建4戸 | 
|---|---|
| 交通 | 東武伊勢崎線館林駅 徒歩13分 東武小泉線館林駅 徒歩13分 東武佐野線館林駅 徒歩13分 | 
賃貸状況
8部屋中 2部屋賃貸中
8部屋中 6部屋空室
・オーナーチェンジ
・ミドリハイツ:2/4戸賃貸中
・物件東側隣地9-38借家4棟(全空室)、昭和55年新築、現況有姿、一括売買
・契約不適合責任免責
・残置物含み
・住戸の専有面積:40.15m²~45.45m²
・上下水道完備
・区画整理地内
・主要採光面:南向き
・バイク置場:有(無料)
・駐輪場:有(無料)
・設備:B・T別、トイレ、オープンキッチン、プロパンガス
| 賃貸状況 | |||||
| 建物構造 | 鉄骨造 | 階数 | 地上2階 | 築年月 | 1990/03 | 
| 建物面積 | 343.2m² | 間取り | 2DK | 総戸数 | 8戸 | 
| 駐車場 | 有 無料 | 土地面積 | 1065.92m² | 土地権利 | 所有権 | 
| 私道負担面積 | 無 | 地目 | 都市計画区域 | 市街化区域 | |
| 用途地域 | 第一種中高層住居専用 | 建ぺい率 | 60% | 容積率 | 200% | 
| 国土法届出 | 推進状況 | 現況引き渡し | 賃貸中 | ||
| 引き渡し | 相談 | 建築確認番号 | 取引形態 | 仲介 | |
| 注意事項 | |||||
